+8

- BAIE-MAHAULT – lotissement résidentiel de 12 parcelles, « Les Jardins de Tivoli »,

Baie-Mahault (97122)

Terrain

575 m²
191 718 €
Réf 1150- lot 1

BAIE-MAHAULT – OPPORTUNITÉ RARE

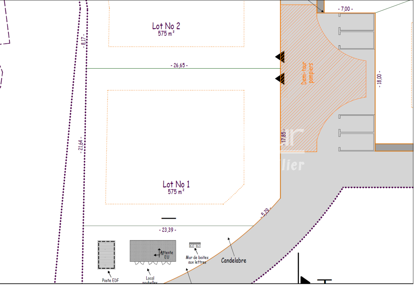
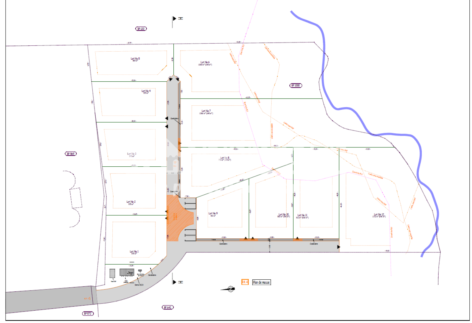
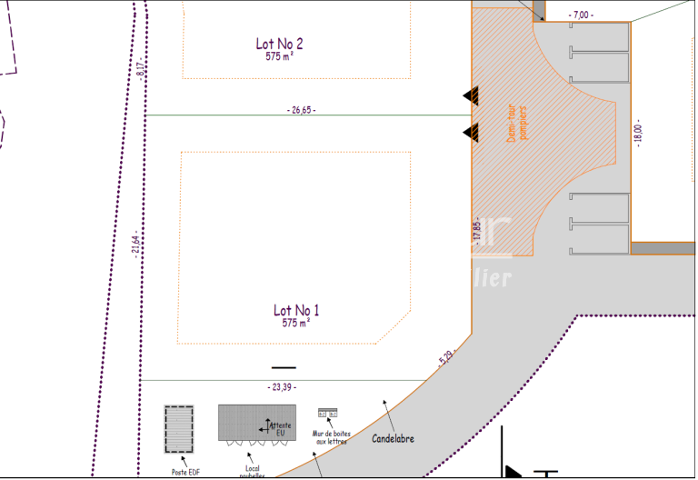
Au cœur du lotissement résidentiel recherché « Les Jardins de Tivoli », composé de seulement 12 parcelles, découvrez cette belle parcelle constructible de 575 m².Lot 1

Située dans un environnement calme et résidentiel, à proximité immédiate du quartier Convenance et à seulement 15 minutes de Jarry, cette parcelle offre un emplacement idéal pour concrétiser votre projet de résidence principale.

Un cadre de vie privilégié, alliant tranquillité et accessibilité.

Pour plus d’informations ou organiser une visite, contactez SPRIMTOUR, agence de Baie-Mahault – Moudong Sud, au 05 90 38 98.

Bilan énergétique

Diagnostics énergetiques
A propos de ce bien Caractéristiques de ce bien
  • terrain 575 m²
  • vue campagne
  • quartier PLAISANCE, Retraite

Financier

Informations financières
Prix de vente 191 718 € Les honoraires d'agence seront intégralement à la charge du vendeur

Simulation

Calcul des mensualités
* Champs obligatoires
SPRIMTOUR Baie-Mahault Agence